Uchwały Rady Miasta 2006 ( L )
-
UCHWAŁA Nr L/483/06 Rady Miasta Bolesławiec z dnia 28 czerwca 2006 r. w sprawie wyrażenia woli przejęcia od Zarządu Województwa Dolnośląskiego zadania powierzonego - prowadzenia w Bolesławcu Filii Dolnośląskiej Biblioteki Pedagogicznej Oddział w Jeleniej Górze
Typ pliku: DOC, Rozmiar: 31 KBWytworzył:Udostępnił:Staniec Agnieszka(2007-03-13 15:52:56)Ostatnio zmodyfikował:Staniec Agnieszka(2008-03-28 11:56:23) -
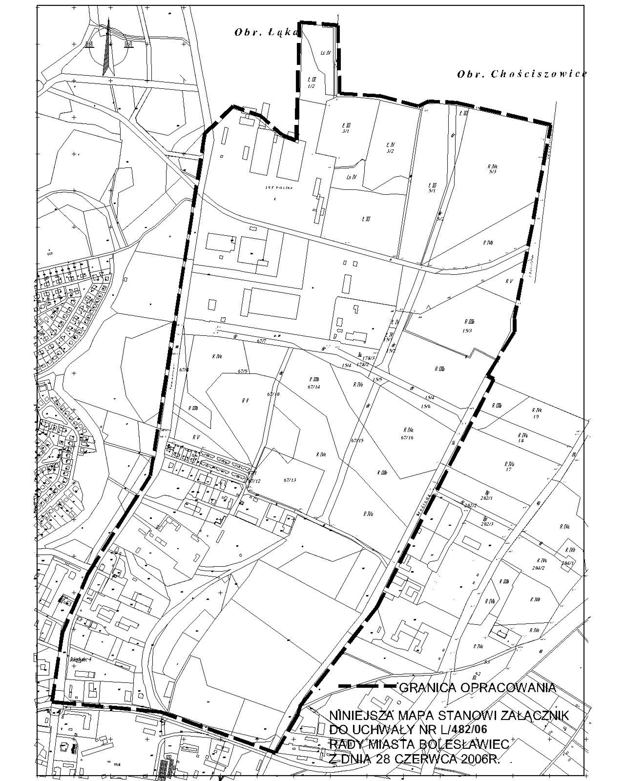
UCHWAŁA Nr L/482/06 Rady Miasta Bolesławiec z dnia 28 czerwca 2006 r. w sprawie przystąpienia do sporządzenia miejscowego planu zagospodarowania przestrzennego miasta Bolesławiec - dla terenu przemysłowego zlokalizowanego w rejonie ulic Tadeusza Kościuszki i Modłowej - zal1
Typ pliku: JPG, Rozmiar: 494 KBWytworzył:Udostępnił:Staniec Agnieszka(2007-03-13 15:52:56)Ostatnio zmodyfikował:Staniec Agnieszka(2008-03-28 11:58:00) -
UCHWAŁA Nr L/482/06 Rady Miasta Bolesławiec z dnia 28 czerwca 2006 r. w sprawie przystąpienia do sporządzenia miejscowego planu zagospodarowania przestrzennego miasta Bolesławiec - dla terenu przemysłowego zlokalizowanego w rejonie ulic Tadeusza Kościuszki i Modłowej
Typ pliku: DOC, Rozmiar: 37 KBWytworzył:Udostępnił:Staniec Agnieszka(2007-03-13 15:52:55)Ostatnio zmodyfikował:Staniec Agnieszka(2008-03-28 11:58:14) -
Uchwała Nr L/481/06 Rady Miasta Bolesławiec z dnia 28 czerwca 2006 r. w sprawie uchwalenia miejscowego planu zagospodarowania przestrzennego - zal1
Typ pliku: JPG, Rozmiar: 2 MBWytworzył:Udostępnił:Staniec Agnieszka(2007-03-13 15:52:53)Ostatnio zmodyfikował:Staniec Agnieszka(2008-03-28 11:57:09) -
Uchwała Nr L/481/06 Rady Miasta Bolesławiec z dnia 28 czerwca 2006 r. w sprawie uchwalenia miejscowego planu zagospodarowania przestrzennego
Typ pliku: DOC, Rozmiar: 77 KBWytworzył:Udostępnił:Staniec Agnieszka(2007-03-13 15:52:50)Ostatnio zmodyfikował:Staniec Agnieszka(2008-03-28 11:58:36) -
Uchwała Nr L /480/06 Rady Miasta Bolesławiec z dnia 28 czerwca 2006 r. w sprawie wyrażenia woli przystąpienia do programu "Nowa Starówka "
Typ pliku: DOC, Rozmiar: 32 KBWytworzył:Udostępnił:Staniec Agnieszka(2007-03-13 15:52:29)Ostatnio zmodyfikował:Staniec Agnieszka(2008-03-28 11:58:48) -
UCHWAŁA Nr L/479/06 Rady Miasta Bolesławiec z dnia 28 czerwca 2006 r. w sprawie zatwierdzenia planów pracy komisji stałych Rady Miasta Bolesławiec na okres II półrocza 2006 roku - zal1
Typ pliku: DOC, Rozmiar: 53 KBWytworzył:Udostępnił:Staniec Agnieszka(2007-03-13 15:52:29)Ostatnio zmodyfikował:Staniec Agnieszka(2008-03-28 11:59:00) -
UCHWAŁA Nr L/479/06 Rady Miasta Bolesławiec z dnia 28 czerwca 2006 r. w sprawie zatwierdzenia planów pracy komisji stałych Rady Miasta Bolesławiec na okres II półrocza 2006 roku
Typ pliku: DOC, Rozmiar: 21 KBWytworzył:Udostępnił:Staniec Agnieszka(2007-03-13 15:52:28)Ostatnio zmodyfikował:Staniec Agnieszka(2008-03-28 12:21:16) -
UCHWAŁA Nr L/478/06 Rady Miasta Bolesławiec z dnia 28 czerwca 2006 r. w sprawie zatwierdzenia planu pracy Komisji Rewizyjnej Rady Miasta Bolesławiec na okres II półrocza 2006 r. - zal1
Typ pliku: DOC, Rozmiar: 21 KBWytworzył:Udostępnił:Staniec Agnieszka(2007-03-13 15:52:28)Ostatnio zmodyfikował:Staniec Agnieszka(2008-03-28 12:21:30) -
UCHWAŁA Nr L/478/06 Rady Miasta Bolesławiec z dnia 28 czerwca 2006 r. w sprawie zatwierdzenia planu pracy Komisji Rewizyjnej Rady Miasta Bolesławiec na okres II półrocza 2006 r.
Typ pliku: DOC, Rozmiar: 21 KBWytworzył:Udostępnił:Staniec Agnieszka(2007-03-13 15:52:28)Ostatnio zmodyfikował:Staniec Agnieszka(2008-03-28 12:21:39) -
UCHWAŁA Nr L/477/06 Rady Miasta Bolesławiec z dnia 28 czerwca 2006 r. w sprawie ramowego planu pracy Rady Miasta Bolesławiec na okres II półrocza 2006 r. - zal1
Typ pliku: DOC, Rozmiar: 25 KBWytworzył:Udostępnił:Staniec Agnieszka(2007-03-13 15:52:02)Ostatnio zmodyfikował:Staniec Agnieszka(2008-03-28 12:21:50) -
UCHWAŁA Nr L/477/06 Rady Miasta Bolesławiec z dnia 28 czerwca 2006 r. w sprawie ramowego planu pracy Rady Miasta Bolesławiec na okres II półrocza 2006 r.
Typ pliku: DOC, Rozmiar: 27 KBWytworzył:Udostępnił:Staniec Agnieszka(2007-03-13 15:52:02)Ostatnio zmodyfikował:Staniec Agnieszka(2008-03-28 12:21:55) -
UCHWAŁA Nr L/476/06 Rady Miasta Bolesławiec z dnia 28 czerwca 2006 r. w sprawie nadania statutu Urzędowi Miasta Bolesławiec (utraciła moc Uchwałą Nr XLII/352/09 z dnia 26 sierpnia 2009 r.)
Typ pliku: DOC, Rozmiar: 11 KBWytworzył:Udostępnił:Staniec Agnieszka(2007-03-13 15:52:02)Ostatnio zmodyfikował:Cieśla Katarzyna(2009-10-12 12:42:46) -
Uchwała Nr L/ 475 /06 Rady Miasta Bolesławiec z dnia 28 czerwca 2006 r. w sprawie zakresu i formy informacji o przebiegu wykonania budżetu Gminy Miejskiej Bolesławiec za I półrocze oraz informacji o przebiegu wykonania za I półrocze planów finansowych samorządowych instytucji kultury - zal15
Typ pliku: XLS, Rozmiar: 25 KBWytworzył:Udostępnił:Staniec Agnieszka(2007-03-13 15:52:02)Ostatnio zmodyfikował:Staniec Agnieszka(2008-03-28 12:22:28) -
Uchwała Nr L/ 475 /06 Rady Miasta Bolesławiec z dnia 28 czerwca 2006 r. w sprawie zakresu i formy informacji o przebiegu wykonania budżetu Gminy Miejskiej Bolesławiec za I półrocze oraz informacji o przebiegu wykonania za I półrocze planów finansowych samorządowych instytucji kultury - zal14
Typ pliku: XLS, Rozmiar: 159 KBWytworzył:Udostępnił:Staniec Agnieszka(2007-03-13 15:52:01)Ostatnio zmodyfikował:Staniec Agnieszka(2008-03-28 12:22:45) -
Uchwała Nr L/ 475 /06 Rady Miasta Bolesławiec z dnia 28 czerwca 2006 r. w sprawie zakresu i formy informacji o przebiegu wykonania budżetu Gminy Miejskiej Bolesławiec za I półrocze oraz informacji o przebiegu wykonania za I półrocze planów finansowych samorządowych instytucji kultury - zal13
Typ pliku: XLS, Rozmiar: 203 KBWytworzył:Udostępnił:Staniec Agnieszka(2007-03-13 15:51:42)Ostatnio zmodyfikował:Staniec Agnieszka(2008-03-28 12:22:52) -
Uchwała Nr L/ 475 /06 Rady Miasta Bolesławiec z dnia 28 czerwca 2006 r. w sprawie zakresu i formy informacji o przebiegu wykonania budżetu Gminy Miejskiej Bolesławiec za I półrocze oraz informacji o przebiegu wykonania za I półrocze planów finansowych samorządowych instytucji kultury - zal12
Typ pliku: XLS, Rozmiar: 193 KBWytworzył:Udostępnił:Staniec Agnieszka(2007-03-13 15:51:41)Ostatnio zmodyfikował:Staniec Agnieszka(2008-03-28 12:22:58) -
Uchwała Nr L/ 475 /06 Rady Miasta Bolesławiec z dnia 28 czerwca 2006 r. w sprawie zakresu i formy informacji o przebiegu wykonania budżetu Gminy Miejskiej Bolesławiec za I półrocze oraz informacji o przebiegu wykonania za I półrocze planów finansowych samorządowych instytucji kultury - zal11
Typ pliku: XLS, Rozmiar: 127 KBWytworzył:Udostępnił:Staniec Agnieszka(2007-03-13 15:51:40)Ostatnio zmodyfikował:Staniec Agnieszka(2008-03-28 12:23:03) -
Uchwała Nr L/ 475 /06 Rady Miasta Bolesławiec z dnia 28 czerwca 2006 r. w sprawie zakresu i formy informacji o przebiegu wykonania budżetu Gminy Miejskiej Bolesławiec za I półrocze oraz informacji o przebiegu wykonania za I półrocze planów finansowych samorządowych instytucji kultury - zal10
Typ pliku: XLS, Rozmiar: 38 KBWytworzył:Udostępnił:Staniec Agnieszka(2007-03-13 15:51:40)Ostatnio zmodyfikował:Staniec Agnieszka(2008-03-28 12:24:07) -
Uchwała Nr L/ 475 /06 Rady Miasta Bolesławiec z dnia 28 czerwca 2006 r. w sprawie zakresu i formy informacji o przebiegu wykonania budżetu Gminy Miejskiej Bolesławiec za I półrocze oraz informacji o przebiegu wykonania za I półrocze planów finansowych samorządowych instytucji kultury - zal9
Typ pliku: XLS, Rozmiar: 17 KBWytworzył:Udostępnił:Staniec Agnieszka(2007-03-13 15:51:40)Ostatnio zmodyfikował:Staniec Agnieszka(2008-03-28 12:24:13) -
Uchwała Nr L/ 475 /06 Rady Miasta Bolesławiec z dnia 28 czerwca 2006 r. w sprawie zakresu i formy informacji o przebiegu wykonania budżetu Gminy Miejskiej Bolesławiec za I półrocze oraz informacji o przebiegu wykonania za I półrocze planów finansowych samorządowych instytucji kultury - zal8
Typ pliku: XLS, Rozmiar: 17 KBWytworzył:Udostępnił:Staniec Agnieszka(2007-03-13 15:51:21)Ostatnio zmodyfikował:Staniec Agnieszka(2008-03-28 12:24:20) -
Uchwała Nr L/ 475 /06 Rady Miasta Bolesławiec z dnia 28 czerwca 2006 r. w sprawie zakresu i formy informacji o przebiegu wykonania budżetu Gminy Miejskiej Bolesławiec za I półrocze oraz informacji o przebiegu wykonania za I półrocze planów finansowych samorządowych instytucji kultury - zal7
Typ pliku: XLS, Rozmiar: 25 KBWytworzył:Udostępnił:Staniec Agnieszka(2007-03-13 15:51:20)Ostatnio zmodyfikował:Staniec Agnieszka(2008-03-28 12:24:34) -
Uchwała Nr L/ 475 /06 Rady Miasta Bolesławiec z dnia 28 czerwca 2006 r. w sprawie zakresu i formy informacji o przebiegu wykonania budżetu Gminy Miejskiej Bolesławiec za I półrocze oraz informacji o przebiegu wykonania za I półrocze planów finansowych samorządowych instytucji kultury - zal6
Typ pliku: XLS, Rozmiar: 22 KBWytworzył:Udostępnił:Staniec Agnieszka(2007-03-13 15:51:20)Ostatnio zmodyfikował:Staniec Agnieszka(2008-03-28 12:25:15) -
Uchwała Nr L/ 475 /06 Rady Miasta Bolesławiec z dnia 28 czerwca 2006 r. w sprawie zakresu i formy informacji o przebiegu wykonania budżetu Gminy Miejskiej Bolesławiec za I półrocze oraz informacji o przebiegu wykonania za I półrocze planów finansowych samorządowych instytucji kultury - zal5
Typ pliku: XLS, Rozmiar: 18 KBWytworzył:Udostępnił:Staniec Agnieszka(2007-03-13 15:51:20)Ostatnio zmodyfikował:Staniec Agnieszka(2008-03-28 12:25:23) -
Uchwała Nr L/ 475 /06 Rady Miasta Bolesławiec z dnia 28 czerwca 2006 r. w sprawie zakresu i formy informacji o przebiegu wykonania budżetu Gminy Miejskiej Bolesławiec za I półrocze oraz informacji o przebiegu wykonania za I półrocze planów finansowych samorządowych instytucji kultury - zal4
Typ pliku: XLS, Rozmiar: 23 KBWytworzył:Udostępnił:Staniec Agnieszka(2007-03-13 15:51:19)Ostatnio zmodyfikował:Staniec Agnieszka(2008-03-28 12:25:30) -
Uchwała Nr L/ 475 /06 Rady Miasta Bolesławiec z dnia 28 czerwca 2006 r. w sprawie zakresu i formy informacji o przebiegu wykonania budżetu Gminy Miejskiej Bolesławiec za I półrocze oraz informacji o przebiegu wykonania za I półrocze planów finansowych samorządowych instytucji kultury - zal3
Typ pliku: XLS, Rozmiar: 32 KBWytworzył:Udostępnił:Staniec Agnieszka(2007-03-13 15:50:55)Ostatnio zmodyfikował:Staniec Agnieszka(2008-03-28 12:25:42) -
Uchwała Nr L/ 475 /06 Rady Miasta Bolesławiec z dnia 28 czerwca 2006 r. w sprawie zakresu i formy informacji o przebiegu wykonania budżetu Gminy Miejskiej Bolesławiec za I półrocze oraz informacji o przebiegu wykonania za I półrocze planów finansowych samorządowych instytucji kultury - zal2
Typ pliku: XLS, Rozmiar: 45 KBWytworzył:Udostępnił:Staniec Agnieszka(2007-03-13 15:50:54)Ostatnio zmodyfikował:Staniec Agnieszka(2008-03-28 12:25:48) -
Uchwała Nr L/ 475 /06 Rady Miasta Bolesławiec z dnia 28 czerwca 2006 r. w sprawie zakresu i formy informacji o przebiegu wykonania budżetu Gminy Miejskiej Bolesławiec za I półrocze oraz informacji o przebiegu wykonania za I półrocze planów finansowych samorządowych instytucji kultury - zal1
Typ pliku: XLS, Rozmiar: 1 MBWytworzył:Udostępnił:Staniec Agnieszka(2007-03-13 15:50:54)Ostatnio zmodyfikował:Staniec Agnieszka(2008-03-28 12:25:59) -
Uchwała Nr L/ 475 /06 Rady Miasta Bolesławiec z dnia 28 czerwca 2006 r. w sprawie zakresu i formy informacji o przebiegu wykonania budżetu Gminy Miejskiej Bolesławiec za I półrocze oraz informacji o przebiegu wykonania za I półrocze planów finansowych samorządowych instytucji kultury
Typ pliku: DOC, Rozmiar: 54 KBWytworzył:Udostępnił:Staniec Agnieszka(2007-03-13 15:50:52)Ostatnio zmodyfikował:Staniec Agnieszka(2008-03-28 12:26:57) -
Uchwała Nr L/474/06 Rady Miasta Bolesławiec z dnia 28 czerwca 2006 r. w sprawie zmian w budżecie miasta na 2006 r. - zal3
Typ pliku: XLS, Rozmiar: 81 KBWytworzył:Udostępnił:Staniec Agnieszka(2007-03-13 15:50:52)Ostatnio zmodyfikował:Staniec Agnieszka(2008-03-28 12:27:23) -
Uchwała Nr L/474/06 Rady Miasta Bolesławiec z dnia 28 czerwca 2006 r. w sprawie zmian w budżecie miasta na 2006 r. - zal2a
Typ pliku: XLS, Rozmiar: 191 KBWytworzył:Udostępnił:Staniec Agnieszka(2007-03-13 15:50:27)Ostatnio zmodyfikował:Staniec Agnieszka(2008-03-28 12:28:03) -
Uchwała Nr L/474/06 Rady Miasta Bolesławiec z dnia 28 czerwca 2006 r. w sprawie zmian w budżecie miasta na 2006 r. - zal2
Typ pliku: XLS, Rozmiar: 134 KBWytworzył:Udostępnił:Staniec Agnieszka(2007-03-13 15:50:27)Ostatnio zmodyfikował:Staniec Agnieszka(2008-03-28 12:28:15) -
Uchwała Nr L/474/06 Rady Miasta Bolesławiec z dnia 28 czerwca 2006 r. w sprawie zmian w budżecie miasta na 2006 r.
Typ pliku: DOC, Rozmiar: 55 KBWytworzył:Udostępnił:Staniec Agnieszka(2007-03-13 15:50:26)Ostatnio zmodyfikował:Staniec Agnieszka(2008-03-28 12:28:23) -
UCHWAŁA Nr L/473/06 Rady Miasta Bolesławiec z dnia 28 czerwca 2006 r. w sprawie zmiany Wieloletniego Programu Inwestycyjnego dla Miasta Bolesławiec na lata 2006 - 2010 - zal2a
Typ pliku: XLS, Rozmiar: 23 KBWytworzył:Udostępnił:Staniec Agnieszka(2007-03-13 15:50:26)Ostatnio zmodyfikował:Staniec Agnieszka(2008-03-28 12:28:37) -
UCHWAŁA Nr L/473/06 Rady Miasta Bolesławiec z dnia 28 czerwca 2006 r. w sprawie zmiany Wieloletniego Programu Inwestycyjnego dla Miasta Bolesławiec na lata 2006 - 2010 - zal2
Typ pliku: XLS, Rozmiar: 49 KBWytworzył:Udostępnił:Staniec Agnieszka(2007-03-13 15:49:55)Ostatnio zmodyfikował:Staniec Agnieszka(2008-03-28 12:28:44) -
UCHWAŁA Nr L/473/06 Rady Miasta Bolesławiec z dnia 28 czerwca 2006 r. w sprawie zmiany Wieloletniego Programu Inwestycyjnego dla Miasta Bolesławiec na lata 2006 - 2010 - zal1
Typ pliku: XLS, Rozmiar: 28 KBWytworzył:Udostępnił:Staniec Agnieszka(2007-03-13 15:49:55)Ostatnio zmodyfikował:Staniec Agnieszka(2008-03-28 12:28:52) -
UCHWAŁA Nr L/473/06 Rady Miasta Bolesławiec z dnia 28 czerwca 2006 r. w sprawie zmiany Wieloletniego Programu Inwestycyjnego dla Miasta Bolesławiec na lata 2006 - 2010
Typ pliku: DOC, Rozmiar: 49 KBWytworzył:Udostępnił:Staniec Agnieszka(2007-03-13 15:49:55)Ostatnio zmodyfikował:Staniec Agnieszka(2008-03-28 12:28:58) -
UCHWAŁA Nr L/472/06 RADY MIASTA BOLESŁAWIEC z dnia 28 czerwca 2006 r. o zmianie uchwały nr XXIV/344/05 Rady Miasta Bolesławiec z dnia 25 maja 2005 r. w sprawie zaciągnięcia pożyczki z Wojewódzkiego Funduszu Ochrony Środowiska i Gospodarki Wodnej we Wrocławiu na realizację inwestycji pn.: "Oczyszczanie ścieków w Bolesławcu" współfinansowanej z funduszu Unii Europejskiej Funduszu Spójności (ISPA), zmienionej uchwałami: nr XXXV/349/05 Rady Miasta Bolesławiec z dnia 15 czerwca 2005 r. - zal1
Typ pliku: XLS, Rozmiar: 132 KBWytworzył:Udostępnił:Staniec Agnieszka(2007-03-13 15:49:54)Ostatnio zmodyfikował:Staniec Agnieszka(2008-03-28 12:29:23) -
UCHWAŁA Nr L/472/06 RADY MIASTA BOLESŁAWIEC z dnia 28 czerwca 2006 r. o zmianie uchwały nr XXIV/344/05 Rady Miasta Bolesławiec z dnia 25 maja 2005 r. w sprawie zaciągnięcia pożyczki z Wojewódzkiego Funduszu Ochrony Środowiska i Gospodarki Wodnej we Wrocławiu na realizację inwestycji pn.: "Oczyszczanie ścieków w Bolesławcu" współfinansowanej z funduszu Unii Europejskiej Funduszu Spójności (ISPA), zmienionej uchwałami: nr XXXV/349/05 Rady Miasta Bolesławiec z dnia 15 czerwca 2005 r.
Typ pliku: DOC, Rozmiar: 31 KBWytworzył:Udostępnił:Staniec Agnieszka(2007-03-13 15:49:54)Ostatnio zmodyfikował:Staniec Agnieszka(2008-03-28 12:29:37) -
Uchwała Nr L /471/06 Rady Miasta Bolesławiec z dnia 28 czerwca 2006 r. w sprawie Programów Zdrowotnych Gminy Miejskiej Bolesławiec na 2006 rok - zal1
Typ pliku: DOC, Rozmiar: 42 KBWytworzył:Udostępnił:Staniec Agnieszka(2007-03-13 15:49:19)Ostatnio zmodyfikował:Staniec Agnieszka(2008-03-28 12:29:50) -
Uchwała Nr L /471/06 Rady Miasta Bolesławiec z dnia 28 czerwca 2006 r. w sprawie Programów Zdrowotnych Gminy Miejskiej Bolesławiec na 2006 rok
Typ pliku: DOC, Rozmiar: 34 KBWytworzył:Udostępnił:Staniec Agnieszka(2007-03-13 15:49:19)Ostatnio zmodyfikował:Staniec Agnieszka(2008-03-28 12:29:57) -
UCHWAŁA Nr L/470/06 Rady Miasta Bolesławiec z dnia 28 czerwca 2006 r. w sprawie powierzenia Gminie Miejskiej Bolesławiec realizacji własnego zadania oświatowego Gminy Wiejskiej Bolesławiec w zakresie kształcenia, wychowania i zapewnienia opieki dzieciom w wieku przedszkolnym
Typ pliku: DOC, Rozmiar: 22 KBWytworzył:Udostępnił:Staniec Agnieszka(2007-03-13 15:49:19)Ostatnio zmodyfikował:Staniec Agnieszka(2008-03-28 12:30:17)

